Completed investment projects of the Far Eastern Basin Branch
Planned and current investment projects of the Far Eastern Basin Branch
Completed investment projects of the Far Eastern Basin Branch
The implenmentation of federal investment programs and FSUE “Rosmorport” investment programs aimed at developing federal facilities of the port infrastructure in the seaports of Vladivostok, Vostochny, Nakhodka, Olga, Pevek and Posyet, as well as other port facilities in the Primorsky Krai is one of the major activities of the FSUE “Rosmorport” Far Eastern Basin Branch, established in 2014 on the basis of the Far Eastern Basin Branch by merging the Eastern and Far Eastern Branches of the enterprise.
In this aspect, since 2003 to the present day the Far Eastern Basin Branch has implemented several investment projects as part of the implementation of the customer-developer function:
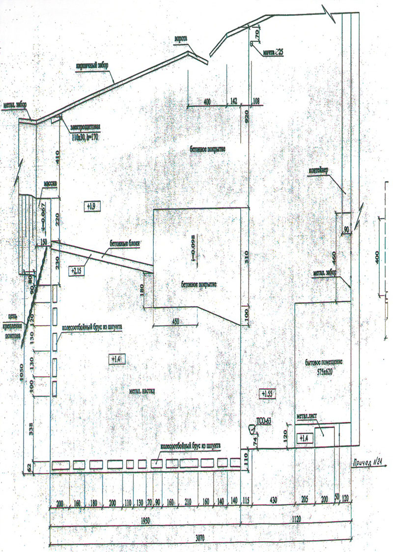
Seaport of Vladivostok
2012
2025
In November 2025, in accordance with Rosmorrechflot's permit dated 03.09.2025 No. 25-24-КА-39/29-2025-FAMRT) the following were commissioned:
- operational water areas of berth No. 1
with a total area of 9.6 hectares and berth No. 2
with a total area of 10.8 hectares, with a bottom elevation of -17.8 m, designed for maneuvering and mooring vessels 266 m long, 40.5 m wide, and with a loaded draft of 15.4 m;
- operational water area of universal berth No. 3
with a total area of 1.9 hectares and a bottom elevation of -10.1 meters, is intended for maneuvering and mooring vessels 130 meters in length, 15.9 meters in width, and a loaded draft of 7.7 meters;
- operational water area of the port fleet berth
with a total area of 1 hectare and a bottom elevation of -7.2 meters, is intended for maneuvering and mooring vessels 34 meters in length, 12.1 meters in width, and a loaded draft of 4.6 meters;
- maneuvering water area
with a turning area, with a total area of 22.1 hectares and a bottom elevation of -18.2 meters, is intended for maneuvering vessels 266 meters in length, 40.5 meters in width, and a loaded draft of 15.4 meters;
- approach channel
2 km long, with an area of 39.7 hectares and a bottom mark of -18.5 m, designed for approaching berths of vessels 266 m long, 40.5 m wide and with a loaded draft of 15.4 m.
![]() |
![]() |
![]() |
![]() |
![]() |
![]() |
Seaport of Vostochny
2021
In December 2021, in accordance with the Rosmorrechflot Resolution dated 22.12.2021 No. 78-RU78131000-ZD-39/82-2021, the reconstructed berths No. 34 and No. 35 with the berth line length increased by 63.5 m, the operational water area of berths No. 34 and No. 35 with an area of 21.5 ha and bottom marks of -12.5 m and the approach canal to berths No. 31-35 with an area of almost 58.8 ha and bottom marks of -12.5 meters, which made it possible to provide alternate mooring and handling at berths No. 34 and No. 35 of estimated vessels of CH-30 type with a length of 185 m, a width of 30 m and a cargo draft of 9 m, as well as design vessels of CH-20 type with a length of 140 m, a width of 25 m and a cargo draft of 8.5 m, in order to increase the volume of bulk coal transshipment in the seaport of Vostochny up to 3.3 mln tons per year.
|
|
|
|
|
|
In 2009 capital repairs of all-purpose berths No. 2 and No. 3 was completed. Repair works were carried out in purpose to restore soil impenetrability of the sheet piling and to reconstruct berths' superstructure. This enabled to expand berths' service life to 15-20 years.
In 2013 new objects of the Global Maritime Distress and Safety System within the sea area A2 at the sea terminal Plastun of the Olga sea port were put into service. These objects will promote increase of the navigation in Sea of Japan security level along Russian cost from the Posyet Bay to Zolotoy Cape since all the coastwise sea areas will be under the effect of GMDSS facilities.
|
|
|
|
Seaport of Pevek (Chukotka Autonomous District)
In 2021, in accordance with the Rosmorrechflot Resolution for commissioning dated 23.11.2021 No. 87-RU87303000-ZD-39/77-2021, the reconstructed berths No. 1 and No. 2 of the seaport of Pevek were put into operation. As part of the implementation of this project, a single mooring line of the cordon of berths No. 1 and No. 2 with design bottom marks of -11.5 m was leveled and formed. Mooring bollards and crane tracks with utilities necessary to support the operation of the berthing facilities were installed. The implementation of the project made it possible to provide conditions for safe handling at the berths of vessels up to a length of 162.5 m, a width of 22.6 m and a cargo draft of 8.6 m.
|
|
Planned and current investment projects of the Far Eastern Basin Branch
At present, the FSUE “Rosmorport” Far Eastern Branch, implementing Federal target program named “The Russian Federation transport system development (2010-2015)” as well as it’s own investments programs on port infrastructure development, is going to realize the following project:
Seaport of Vladivostok
- project for the construction of a radio technical post at Cape Rosset
. As part of the project, it is planned to build a distribution station at Cape Rosset, in connection with the dismantling of the existing Elena VTS site, located on the island of Elena, on top of Mount Larionov (Vladivostok City District), in connection with the decision of the Administration of the city of Vladivostok dated 18.05.2015 No. 28/6-2959 on the need to vacate the occupied land plot of the Vladivostok urban district. The project documentation, developed by a specialized organization, received a negative opinion from the FAI "Glavgosexpertiza of Russia" due to the location of the projected object within the boundaries of the buffer zone of the landscape of monuments of the historical center of Vladivostok. In order to eliminate this remark, work was carried out to develop the documentation “Project for the protection zone of the cultural heritage site “Shkotovsky range of lighthouses (lighthouse, two leading signs)”. Based on the results of the work done, the Decree of the Government of Primorsky Territory dated 26.01.2022 No. 32-pp “On the establishment of zones for the protection of a cultural heritage object (monument of history and culture) of the peoples of the Russian Federation of regional significance “Shkotovsky range of lighthouses (lighthouse, two leading signs)” established the possibility of building an object in the cultural heritage zone. Currently, due to the
termination of the contract with the previous design organization, a
competitive selection of a specialized design organization is being carried out
to carry out work on the new design.
After the redesign and subject to a positive conclusion of the state expertise and the allocation of the necessary funding, the start of construction and installation work is scheduled for the 1st quarter of 2027.
|
![]() |
|
|
|
|
- project for the construction of a radio technical post at Cape Liflyandsky
. The project involves the construction of a new automated radio technical port "Liflyandsky" of the Vladivostok VTS. The implementation of the project will eliminate shadow zones of radar coverage of the waters of the Ussuri Bay on shipping routes, approaches and waters of new port infrastructure facilities, which is ultimately aimed at improving the safety of merchant shipping of ships heading to the berths of the seaport of Vladivostok, located on the eastern shore of the Ussuri Bay.
Currently, a specialized organization has completed engineering surveys and is carrying out design work.
Subject to successful completion of the design, receipt of positive conclusions from state examinations and allocation of the necessary funding, the start of construction and installation works is scheduled for the second quarter of 2026.
![]() |
![]() |
- a reconstruction project for berth No. 6
on Russky Island in the Vladivostok seaport. The project envisages: installing an inter-anchored bulwark made of metal sheet piles over a length of 256.2 m and backfilling the berth body with rock soil to form the territory of berth No. 6 with an area of 8,284 m2; installing an operational water area of the berth over an area of 16,617 m2 with bottom marks brought to -11.13 m. The implementation of the project will ensure safe mooring of vessels up to 129.1 m long, 27.5 meters wide and with a loaded draft of up to 8.5 m at the berth.
Currently, a specialized organization carries out engineering surveys and design.
Subject to successful completion of the design, receipt of positive conclusions from state examinations and allocation of the necessary funding, the start of construction and installation works is scheduled for the first quarter of 2027.
![]() |
![]() |
- project for the construction of a grain terminal
in the seaport of Zarubino. Within the framework of this investment project implementation, in terms of obligations of FSUE “Rosmorport”, it is planned to construct port water area (operational water area, maneuvering water area, anchorages, marine approach roads) with the area of 32 hectares with depths up to -19 m, build a vessel traffic control system, install navigation equipment, construct administrative and domestic buildings (premises) for port services. Implementation of the project in terms of the enterprise's obligations will make it possible to ensure the approach and berthing of the vessels of “Post-Panamax” and “Handysize” types to berths No. 1 and No. 2 in the seaport of Zarubino. The design is currently on hold due to the need to clarify the boundaries of the shoreline in Trinity Bay.
|
![]() |
- reconstruction project of an incomplete construction facility “Berth No. 10” in the seaport of Nakhodka. As a part of a joint investment project of FSUE “Rosmorport” and Nakhodka MTP (Sea Trade Port) JSC, as part of the enterprise's obligations, it is planned to perform dredging operations on the approach canal and the adjacent water area on an area of almost 2 hectares, bringing it to the design depths of 12 m, which will allow safe maneuvering and approaches of vessels with a length of almost 200 m, a width of 32.2 m and a draft of 11 m to berth No. 10 in the seaport of Nakhodka. The project is aimed at increasing the volume of coal transshipment in the seaport to 2 mln tons per year.
Currently, engineering surveys have been carried out by a specialized organization. Design work has been suspended due to the need for an additional comprehensive assessment of the economic and logistical risks of successful implementation of the project.
|
|
- project for the reconstruction of berth No. 19
of the Nakhodka seaport. As part of the implementation of the infrastructure project, it is planned to bring the cordon and the berth area to the required level, to install a vertical sheet pile wall in the form of an anchored revetment on a 58 m section, to lay engineering networks, lengthen the existing storm sewer outlet, to cover the berth area and install a rain sewer system with local rainwater treatment facilities to clean surface water. (rain, thawed and irrigation) waters from the berth, as well as dredging on an area of 0.78 hectares to the design marks of -9.35 m. The project implementation will make it possible to bring the condition of a separate part of berth No. 19 at the length of 58 m into compliance with technical requirements, as well as to create safe conditions for the dredging fleet of the branch and the possibility to receive local passenger vessels of 10 thousand tons displacement, up to a length of 140 m, a width of 19.2 m and a cargo draft of 6.8 m.
In accordance with the requirements of the environmental legislation, public hearings were organized and held on the issue of environmental impact assessment of the planned works on the pier reconstruction. Following the results of the hearings (protocol dated 12.04.2022, approved by the Department of Ecology and Environmental Management of the Nakhodka City District Administration of Primorsky Krai), the project documentation submitted for consideration was approved for subsequent state environmental expertise.
As a result of the review, she received a positive conclusion of the state environmental assessment No. 25-1-01-1-07-0086-22, approved by Rosprirodnadzor Order dated 22.09.2022 No. 414-O. In accordance with the established procedure, the FAI “Glavgosexpertiza of Russia” also received a positive conclusion dated 16.03.2023 No. 25-1-1-3-012406-2023 on the assessment of compliance of the results of engineering surveys with the requirements of technical regulations, assessment of compliance of project documentation with established requirements, verification of the reliability of determining the estimated cost of the object.
Based on the positive conclusions received from state examinations, Rosmorrechflot issued permission on 03.05.2024 No. 25-31-AT-39/22-2024-FAMRT for the reconstruction of berth No. 19.
Subject to allocation of the necessary budget investments, the start of construction and installation works on the project is scheduled for 2028.
|
|
|
- project for the reconstruction of berth No. 25
of the seaport of Nakhodka. The project envisages replacing the 19.5 m long pile berth with a bulwark berth of at least 120 m long. With this, it will be possible to use the berth for placing dredging vessels of the FSUE “Rosmorport” Far Eastern Basin Branch up to 70 m long, up to 14.5 m wide and with a loaded draft of 4.3 m.
Currently, a specialized organization has completed engineering surveys and is carrying out design work.
Subject to their successful completion, receipt of positive conclusions from state examinations, and the allocation of the necessary funding, the start of construction and installation work is scheduled for the fourth quarter of 2026.
|
|
|


.jpg)






































